Script = https://s1.trrsf.com/update-1765905308/fe/zaz-ui-t360/_js/transition.min.js
PUBLICIDADE

Tufão Haima passa sobre as Filipinas

Hong Kong pode ser atingida na sexta

19 out 2016 - 15h55
Compartilhar
Exibir comentários

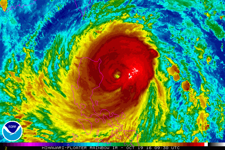
Super tufão Haima avança sobre as Filipinas

O tufão Haima teve um ligeiro enfraquecimento na manhã desta quarta-feira, 19 de outubro, mas continuava muito forte e seguia em direção ao norte das Filipinas, onde é chamado de Lawin.

As imagens de satélite do começo da tarde no Brasil (fim da noite nas Filipinas) mostravam que a parte central do tufão já havia entrado em território filipino.

Foto: Climatempo

O norte das Filipinas abrange a ilha de Luzon, a maior do arquipélago e onde está Manila, a capital das Filipinas, está no nível de alerta máximo, de acordo com o serviço oficial de meteorologia das Filipinas, o PEGASA - Philippine Atmospheric Geophysical and Astronomical Services Administration.

O alerta considera um alto risco para danos graves em edificações, destruição quase total de grande parte da vegetação, árvores arrancadas e rede de energia seriamente danificada. As plantações de banana devem ser seriamente danificadas.

No começo da tarde de 19 de outubro, a Agência Meteorológica do Japão (JMA, na sigla em inglês), classificava o tufão Haima (Lawin) como muito forte.

No boletim técnico da JMA das 15 UTC de 19 de outubro (13 horas em Brasília), Haima se deslocava a 30 km/h na direção oeste-noroeste. A pressão mínima do centro da baixa pressão foi estimada em cerca de 915 hPa. Os ventos constantes foram estimados em 100 nós (aproximadamente 185 km/h), com rajadas de até 140 nós (quase 260 km/h). Os ventos com mais de 100 km/h eram sentidos num raio de 190 km do centro do tufão.

Foto: Climatempo

Haima (Lawin) é vigésimo segundo sistema da temporada de tufões do Pacífico Noroeste e o segundo a atingir as Filipinas em menos de duas semanas. Recentemente, em 9 de outubro, o tufão Sarika passou sobre as Filipinas e também atingiu a região de Luzon.

Rumo a Hong Kong

Nas próximas 48 horas, o tufão Haima (Lawin) segue na direção oeste/noroeste indo em direção à China. A previsão é que a tempestade entre em território chinês por volta das 9 horas (em Brasília) do dia 21 de outubro com grande probabilidade de atingir a região de Hong Kong.

Foto: Climatempo
Climatempo
Compartilhar
Publicidade

Conheça nossos produtos

Seu Terra












Publicidade