Script = https://s1.trrsf.com/update-1765905308/fe/zaz-ui-t360/_js/transition.min.js
PUBLICIDADE

Furacão Melissa atinge categoria 5 e ameaça países do Caribe

Segundo o diretor do serviço meteorológico jamaicano, Melissa pode ser o furacão mais forte que a Jamaica experimentou em décadas

27 out 2025 - 11h21
Compartilhar
Exibir comentários

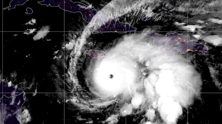
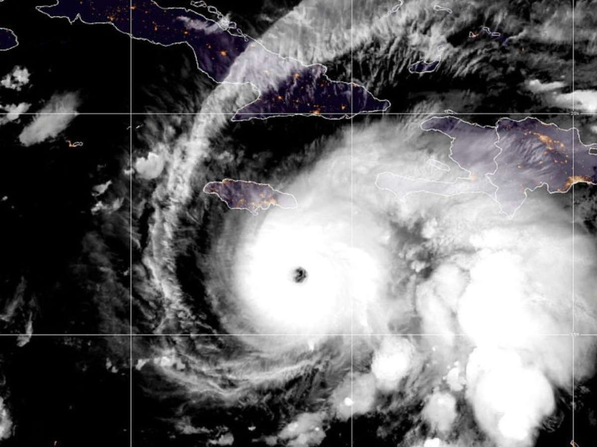
O mar do Caribe se transformou em palco de um evento meteorológico extremo nesta segunda-feira (27): o Furacão Melissa evoluiu para Categoria 5, o nível máximo na escala Saffir-Simpson. Os ventos devastadores chegaram a cerca de 260 km/h. O fenômeno se move lentamente e representa uma ameaça direta e catastrófica para a Jamaica e países vizinhos.

Furacão Melissa
Furacão Melissa
Foto: Getty Images / Perfil Brasil

O Centro Nacional de Furacões (NHC) dos Estados Unidos emitiu um alerta grave. Em boletim divulgado na manhã de segunda, o NHC confirmou: "Melissa agora é um furacão de categoria 5. Ventos destrutivos, marés de tempestade e inundações catastróficas vão piorar na Jamaica ao longo do dia e durante a noite."

A urgência da situação levou o governo jamaicano a ordenar a retirada da população de forma obrigatória, principalmente moradores em áreas de risco, como a capital Kingston e Porto Real. Autoridades locais já começaram a disponibilizar centenas de abrigos.  A preocupação é imensa, especialmente com o risco de inundações.

Em declaração que reflete a gravidade do momento, Desmond McKenzie, vice-presidente do Conselho Jamaicano de Gestão de Riscos de Desastres, apelou à população: "Quero pedir aos jamaicanos que levem isso a sério. Não joguem com Melissa. Não é uma aposta segura."

Considerado o furacão mais potente da história recente a ameaçar a Jamaica, o Melissa deve tocar a ilha na madrugada de terça-feira, seguindo depois para Cuba e Bahamas até quarta. A previsão de chuva chega a impressionantes 76 centímetros, com marés de tempestade com risco à vida. Além disso, a presença do furacão pode afetar as rotas de navios de guerra e aeronaves dos Estados Unidos que realizam operações militares no Caribe.

Para complicar o cenário na região, um terremoto de magnitude 6.5 foi registrado a leste de Curaçao, embora sem gerar alerta de tsunami.

Melissa causa estragos na república Dominicana

Na República Dominicana, fortes chuvas fizeram com que escolas e repartições públicas fossem fechadas. Além disso, quatro das nove províncias estão em alerta vermelho.

Melissa danificou mais de 750 casas no país, deslocando mais de 3.760 pessoas. Por fim, de acordo com autoridades, as inundações também interromperam o acesso a pelo menos 48 comunidades. No Haiti, a tempestade destruiu plantações em três regiões.

Perfil Brasil
Compartilhar
Publicidade

Conheça nossos produtos

Seu Terra












Publicidade