Script = https://s1.trrsf.com/update-1770314720/fe/zaz-ui-t360/_js/transition.min.js
PUBLICIDADE

Furacão Eta atinge Nicarágua e Honduras com ventos de 215 km/h

Este é o quinto grande furacão da temporada de 2020 no Atlântico Norte, que já o ano com maior quantidade de tempestades nomeadas, batendo o ano de 2005.

2 nov 2020 - 21h36
(atualizado às 23h00)
Compartilhar
Exibir comentários

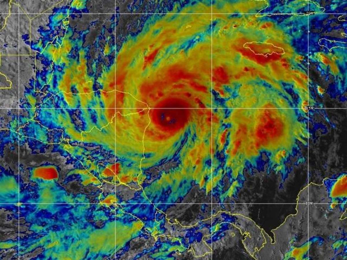
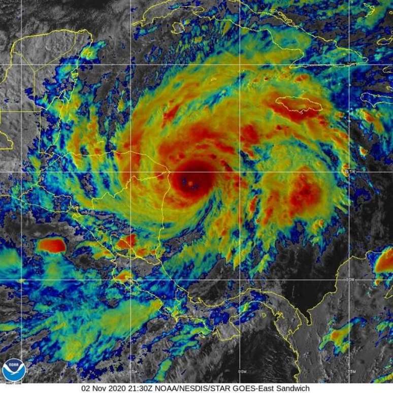
A tempestade tropical Eta se transformou em mais um furacão no mar do Caribe ao amanhecer desta segunda-feira, 2 de novembro. Mas com uma impressionante velocidade de intensificação, tornou-se um grande furacão no meio da tarde, com categoria 3 e no fim da tarde era um furacão ainda mais forte, com categoria 4.. 

Um grande furacão, um major hurricane na nomenclatura do Centro Nacional de Furacões dos Estados Unidos(NHC, na sigla em inglês), é um furacão com categoria 3, 4 ou 5 na escala Saffir-Simpson, que mede a força dos furacões, e que tem variação de  1 a 5.

O furacão Eta é a 29ª tempestade da temporada de furacões do Atlântico Norte de 2020, e a 28ª nomeada. Mas, a temporada oficial só termina em 30 e novembro e com o Atlântico muito quente como está, outras certamente vão surgir. 

Foto: Climatempo
Furacão Eta avança para Nicarágua com ventos de 215 km/h

Tempo severo na Nicarágua e em Honduras

O furacão Eta avança em direção à Nicarágua e à Honduras devendo provocar ondas e ressacas destrutivas, ventos extremamente fortes e chuva volumosa. É alto o risco de  inundações e também de deslizamentos de terra nestes países da América Central até o fim desta semana.

No boletim informativo do NHC de 21 UTC (18 horas em Brasília), o furacão ETA estava a cerca de 110 km/h a leste/sudeste do cabo Gracias a Dios, na fronteira  da Nicarágua com Honduras. Seus ventos sustentados foram estimados em 215 km/h, mas com rajadas mais fortes, e a pressão atmosférica mínima no seu centro era de 948 hPa. O furacão Eta avançava para oeste/sudoeste com 15 km/h.

O infográfico mostra o furacão Eta se aproximando da Nicarágua e de Honduras, ainda com ventos de 195 km/h. A imagem captada pelo satélite GOES 16 corresponde à situação de aproximadamente 16h30 de 2/11/2020. 

A letra M (de major), indica a posição do furacão Eta tocando o solo na Nicarágua como um grande (major) furacão. Ao avançar sobre o continente, o furacão vai perdendo força e se transforma numa depressão tropical nesta terça-feira, 3 de novembro, avançando sobre Honduras ainda neste estágio.

Foto: Climatempo
Trajetória estiada do furacão ETA em 2/11/2020

2020: um ano histórico no Atlântico Norte

A temporada oficial de monitoramento de furacões na bacia do oceano Atlântico Norte começa oficialmente em 1 de junho e vai até 30 de novembro. É durante o verão no Hemisfério Norte (inverno no Hemisfério Sul) que a água do mar vai se armazenando cada vez mais calor. Assim, no começo da primavera ainda há muita energia disponível para a formação das violentas áreas de baixa pressão atmosférica como são as tempestades tropicais que podem se transformar em furacões.

Foto: Climatempo

Comparação entre as temporadas de furacões no Atlântico Norte: 2020 x 2005

O ano de 2020 iguala e supera 2005 em número de tempestades nomeadas no oceano Atlântico Norte. Iguala se considerarmos a temporada de 2005 revisada, que fez com que uma tempestade fosse posteriormente classificada como nomeável, mas no período oficial de monitoramento, até 30 de novembro daquele ano, esta tempestade não recebeu nome. 

As 28 tempestades nomeadas de 2005 consideram esta que foi reavaliada como forte o suficiente para ter um um nome.  Mas 2020 supera 2005  porque está tendo efetivamente 28 tempestades nomeadas e a temporada de furacões do Atlântico Norte oficialmente só termina em 30 de novembro. 

Porém, até 18 horas (Brasília) de 2/11/2020, 2020 não superava 2005 em número de furacões. O ano de 2005 teve 15 furacões, sendo 7 grandes furacões, entre os eles Katrina, Rita e Wilma, que foram tão destruidores e traumáticos, que foram banidos das listas de nomes de furacões. Com Eta, 2020 tem agora 11 furacões, sendo 5 grandes furacões (major hurricane).

Mas, a disputa ainda não acabou. Infelizmente até o fim de novembro, novembro de 2020 ainda poderá dar mais tempestades tropicais e até novos furacões ao Atlântico Norte.

Foto: Climatempo

Tempestades tropicais e furacões de 2020 até 18h (Brasília) de 2/11/2020

Climatempo
Compartilhar
Publicidade

Conheça nossos produtos

Seu Terra












Publicidade